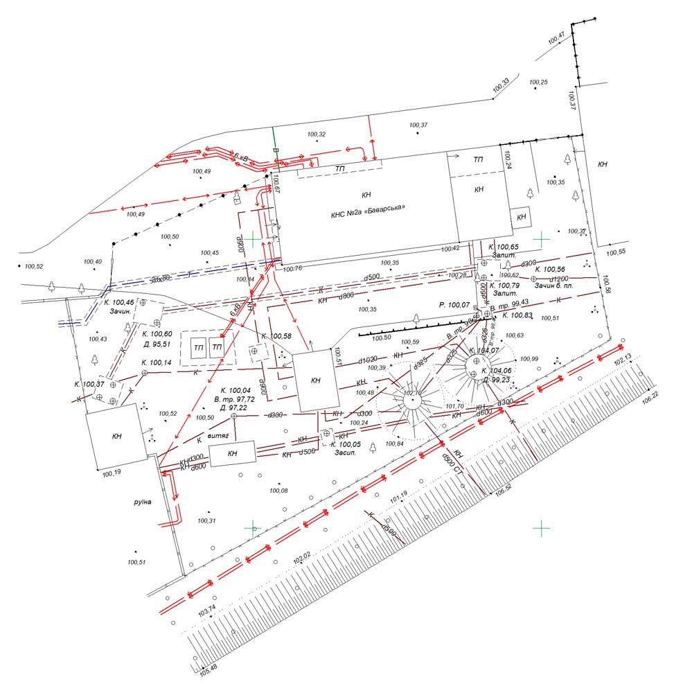
Топографічна зйомка ділянки

Топографічна зйомка ділянки, або топозйомка, - це комплекс геодезичних заходів з метою збору даних для оформлення карт та топопланів обраної території. План топографічної зйомки - креслення з нанесеними на нього схематичними позначеннями елементів інфраструктури, зелених насаджень, інженерних комунікацій, особливостей рельєфу місцевості та іншого. В залежності від обраного масштабу топографічної зйомки 1:500, 1:1000, 1:2000, 1:5000, а також цільового призначення на кресленні можуть бути відображені об'єкти вулично-дорожньої мережі, комунікаційні колодязі, водні об'єкти, огорожі, стовпи освітлення та інші деталі.
Навіщо потрібна топографічна зйомка ділянки
Без даних топографічної зйомки території неможливе оформлення пакета проектної документації, генерального плану населеного пункту, детального плану території (ДТП), оформлення документів на земельну ділянку (землевідведення), планування та реалізація будь-якого будівельного проекту. Тому інвестиції будівельної організації та приватних власників земельних ділянок у будь-які об'єкти будівництва без попередньої геодезії та топозйомки ділянки рівносильні купівлі кота у мішку.
Коректне та грамотне проведення комплексу геодезичних робіт - запорука успішного складання будівельного генплану, реальна можливість скоротити витрати при реконструкції існуючих або будівництві та введення в експлуатацію нових об'єктів та комунікацій.
Найчастіше послуга топографічної геодезичної зйомки місцевості необхідна у таких випадках:
- на етапі розробки генеральних планів населених пунктів та детальних планів територій;
- при проектуванні та розробці архітектурного проекту з реконструкції існуючих або спорудження нових будівель;
- на етапі оновлення топографічних планів та карт;
- для проведення протизсувних проектних робіт
- на етапі створення загального та спеціального інженерно-топографічних планів;
- при проектуванні мереж газифікації, трубопроводів та інженерних комунікацій;
- для дозволу на будівництво та отримання будівельного паспорта.
Без послуги цифрової топографічної зйомки не обійтися домовласникам-приватникам, зацікавленим в узаконенні «самобуду», та на етапі отримання дозволів під час прокладання інженерних комунікацій. Замовити комплект документів необхідно і на етапі електрифікації ділянки, розробки проекту та монтажу опор ЛЕП, а також під час прокладання оптимального маршруту залізничної або автомобільної магістралі. Розумно замовити послугу топозйомки на етапі благоустрою прибудинкової території. З огляду на те, що на обмеженій ділянці потрібно розмістити квітник, штучну водойму, системи дренажу та поливу, садові доріжки та інші декоративні об'єкти топозйомка для ландшафтного дизайну дозволить заощадити на матеріалах та оптимізувати вільний простір.
Етапи проведення топографічної зйомки
Топографічна зйомка земельної ділянки буде реалізована нашими спеціалістами у 4 етапи з використанням карт та планів не більше ніж річної давності.
1. Підготовчий етап
Перед початком робіт проводяться такі заходи:
- вивчення існуючих топографічних карт та ортофотопланів, геодезичної основи та обґрунтування;
- складання технічного завдання;
- аналіз інформації звітів щодо попередніх топографічних зйомок.
При зміні ситуації на ділянці більш ніж на 35% наявна документація втрачає актуальність. У цьому випадку замість коректуючої зйомки дані повністю оновлюються і необхідно замовити нову топографічну зйомку території. Замовити послугу топозйомки заново потрібно і у випадку, коли топографічний план було складено раніше 12 місяців.
2. Польові підготовчі роботи
На цьому етапі здійснюється перенесення на земельну ділянку геодезичних координат та реперів — спеціальних міток, що становлять основу для зйомки.
3. Польові дослідження на території
Передбачає топографічні вимірювання та геодезичну зйомку:
- рельєфу;
- комунікацій;
- споруд;
- інженерних мереж.
Виконується вертикальна зйомка (рельєфу) та зйомка ситуації. При необхідності на земельній ділянці закладаються репери, які будуть використані будівельниками. Проводиться відкриття колодязів (люків), через які проходять інженерні комунікації, та зняття міток, а також трасування підземних комунікацій за допомогою спеціального трасопошукового обладнання.
4. Камеральний етап
Цей заключний етап включає:
- обробку та систематизацію даних, отриманих на попередніх етапах;
- звірку даних з відомостями в архітектурній базі, включаючи інформацію комунальних служб зі специфікацією інженерних комунікацій на ділянці;
- складання картографії, схем та топографічного плану місцевості з унікальними умовними позначеннями;
- узгодження інженерних мереж із експлуатуючими організаціями;
- складання звіту про виконану роботу з урахуванням розташування комунікацій.
На завершальному етапі проводиться узгодження оновленої інформації про мережі на топозйомці комунікацій та отримання штампу «Прийнято» в управлінні архітектури. Готовий комплект документів та його електронний вигляд у необхідному замовнику форматі видається по факту виконання робот. Ці документи можуть бути використані для різних цілей.
Топозйомка від професіоналів - переваги
Якісний, професійно складений точний геодезичний план топозйомки — фундамент, на якому згодом буде реалізовано всі ваші проекти. Саме тому важливо замовити послугу геодезичної зйомки в організації, яка:
- має в своєму розпорядженні штат сертифікованих інженерів-геодезистів;
- використовує високоточне обладнання, що дозволяє виконати роботи будь-якої складності без втрати якості та в стислий термін;
- гарантує точну та повну відповідність робіт та наданих послуг діючої інструкції топографічної зйомки — «Інструкція з топографічного знімання в масштабах 1:5000, 1:2000, 1:1000 та 1:500».
Гарантії точності топозйомки
Сертифіковані інженери геодезисти при проведенні топозйомки використовують найсучасніше обладнання, включаючи:
- двочастотні GPS-приймачі;
- БПЛА;
- електронні тахеометри.
Всі прилади, обладнання та програмне забезпечення, що застосовуються інженерами нашої компанії для топографічної зйомки за допомогою gps об'єктів на місцевості та топозйомки комунікацій, сертифіковані інститутом метрології та рекомендовані для проведення комплексу геодезичних робіт.
Масштаб топографічної зйомки
Технічні можливості обладнання дозволяють досягти будь-якого необхідного рівня деталізації топографічної зйомки лінійних об'єктів. Доступні масштаби:
- масштаби 1:100 та 1:200 – використовується під час роботи з ландшафтним дизайном;
- масштаб 1:500 – великий, найбільш затребуваний масштаб у архітекторів та проектувальників;
- масштаб 1:2000 – використовується при топографічній зйомці земельної ділянки для містобудівного плану (ПДП).
Маючи на руках технічний звіт з топографо-геодезичної зйомки, ви зможете:
- з точністю до міліметра запроектувати генплан будівництва з наступним винесенням його "в натуру";
- точно розрахувати обсяг земляних робіт під час будівництва нового об'єкту;
- отримати вирішальну перевагу у територіальних суперечках із сусідами;
- уникнути прикрих та дорогих помилок на етапі зведення об'єкта;
- уникнути проблем під час вводу в експлуатацію об'єкта нерухомості, у реєстраційній службі України.





